物件詳細
物件名
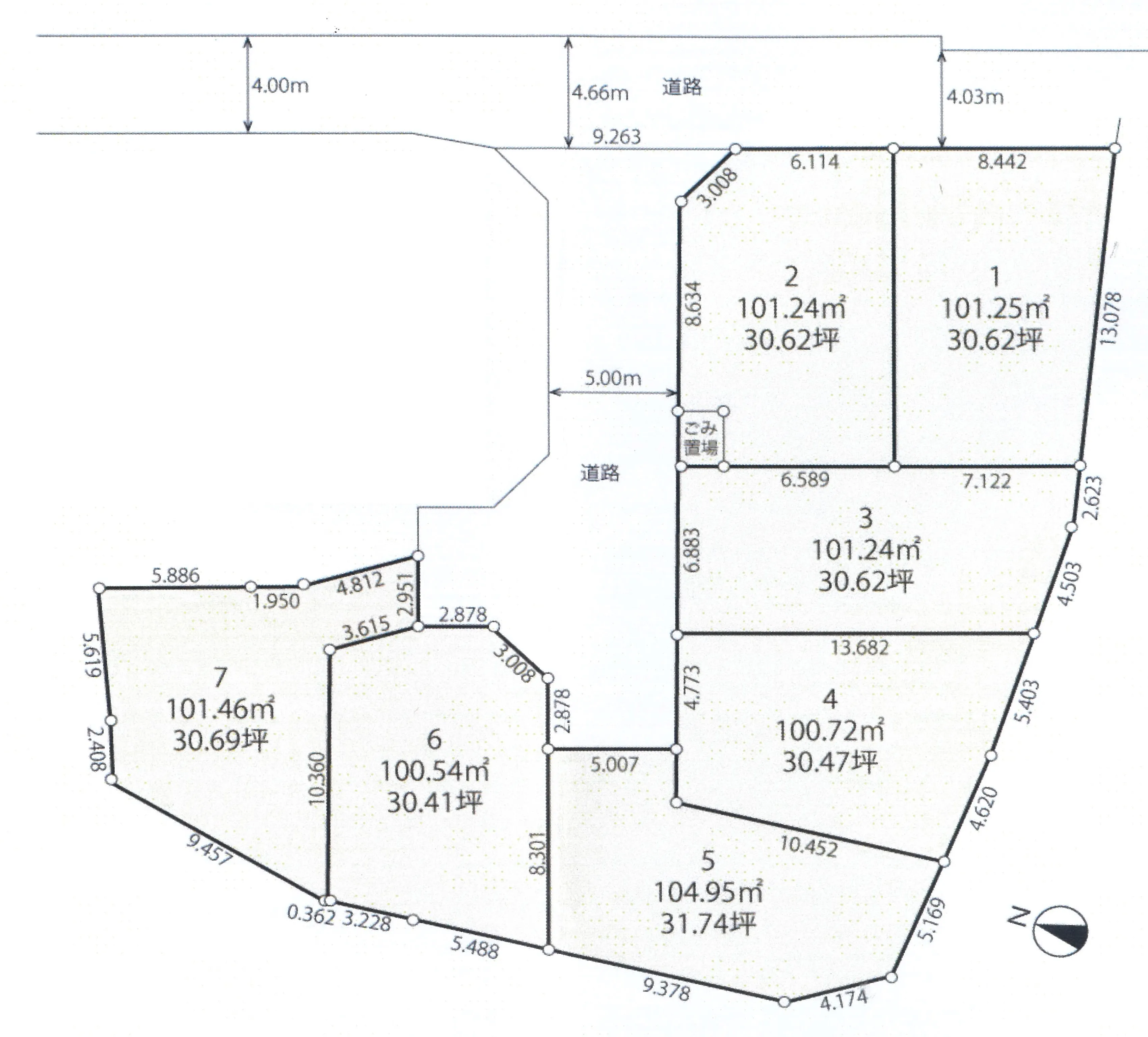
茅ヶ崎市菱沼三丁目 建築条件無し土地【全7区画】(№1区画)
所在地神奈川県茅ヶ崎市菱沼三丁目
価格4,480万円
交通JR東海道本線 「辻堂駅」 徒歩13分
物件種別土地
土地面積公簿 101.25m2 (30.63坪)
セットバック無し
私道負担無し
現況更地
設備 /
ライフライン公営水道 / 本下水 / 都市ガス
ライフライン公営水道 / 本下水 / 都市ガス
建蔽率60%
容積率200%
土地権利所有権
引き渡し時期相談
取引態様仲介
接道状況東4m公道に8.4m面す
建築条件無し
都市計画市街化区域
用途地域第一種住居地域
地目宅地
学区小和田小学校
赤羽根中学校
赤羽根中学校
情報更新日2025年12月25日
設備・条件
その他整形地 / 平坦地 / 閑静な住宅街 / 日当たり良好 / 周辺交通量少なめ / スーパー徒歩10分以内 / 総合病院徒歩10分以内 / 小学校徒歩10分以内
JR東海道線『辻堂』駅徒歩13分の好立地。商業施設近く生活便利!お好みのハウスメーカーで建築可能!!
0120-58-6621
※電話でお問い合わせの際は、「物件番号: 10020825」をお伝えください。

.webp)



